売土地
富士市厚原2区画





富士市厚原2区画
【物件概要】
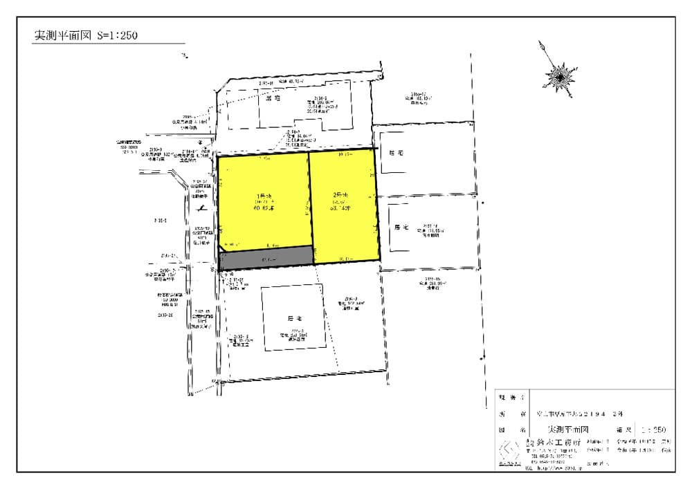
所在地:富士市厚原字大石2194-2他
地目:宅地
土地権利:所有権
都市計画:市街化区域
用途地域:第1種低層住居専用地域
設備:東京電力:上水道:浄化槽:都市ガス
建ぺい率:50%
容積率:80%
他の法令上の制限:法22条区域・景観法・厚原北部地区申し合せ
引渡:令和6年5月末日引渡し予定
学校区:丘小学校・岳陽中学校
取引形態:売主
手数料:無し
【区画1号地】
面積:200.41㎡ 60.62坪
坪単価:224,334円
販売価格:13,600,000円
【区画2号地】
面積:218.31㎡ 66.04坪
坪単価:174,140円
販売価格:11,500,000円