分譲地

富士市 風の丘 第2期

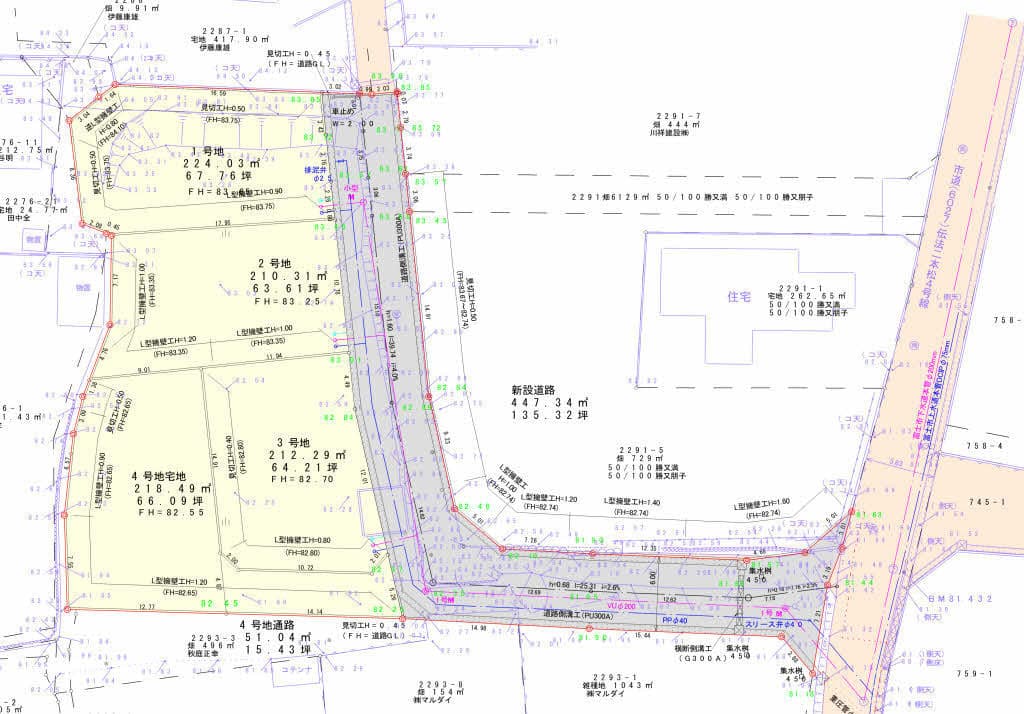
分譲地:富士市厚原風の丘第2期
 
分譲地:富士市厚原風の丘第2期

 

分譲地:富士市厚原 風の丘第2期

【学校区】丘小学校・岳陽中学校
1,380万円~
■所在地:富士市厚原字大石2293-2、2293-3
■地目:宅地
■土地権利:所有権
■都市計画:市街化区域
■用途地域:第1種低層住居専用区域
■設備:東京電力:上水道:下水道
■建ぺい率:50%
■容積率:80%
■他の法令上の制限:法22条区域・景観法・厚原北部地区申し合せ
■開発許可:富都建指令2-20号
■引渡:令和6年4月末日引渡し予定



株式会社静岡ランディック
〒416-0201 静岡県富士市厚原1859番地の37
TEL: 0545-30-6355 / FAX:0545-30-6377